Starogard Gdański – cmentarz wojskowy

Awatar użytkownika

spaff
Obywatel
Obywatel
Reakcje:
Posty: 706
Rejestracja: 26 cze 2016, o 09:52
Podziękował;: 284 razy
Otrzymał podziękowań: 242 razy
Kontakt:

Re: Starogard Gdański – cmentarz wojskowy

#21

Post autor: spaff »

Krzyszwars pisze: 15 gru 2025, o 16:17
spaff pisze: 13 gru 2025, o 22:32 Może w lutym będę w posiadaniu ustosunkowania się miasta w tej sprawie, ale nic nie obiecuję.
@ spaff - mam nadzieję, że czegoś się dowiesz. Trzymam kciuki, bo w Internecie ani w różnych pismach niczego nie znalazłem :(
Chciałbym napisać "mamy to", ale nie mamy.
Urząd Miasta Starogard Gdański pisze:W odpowiedzi na wniosek z dnia 30 listopada 2025 r. o udostępnienie informacji publicznej dotyczącej prac prowadzonych na cmentarzu wojskowym z okresu I wojny światowej, zlokalizowanym przy ul. Tczewskiej w Starogardzie Gdańskim, Urząd Miasta Starogard Gdański uprzejmie informuje, że nie jest w posiadaniu dokumentów ani informacji wskazanych w treści wniosku.
W szczególności Urząd nie dysponuje dokumentacją dotyczącą:
• demontażu lub usunięcia betonowych krzyży nagrobnych z grobów żołnierzy poległych podczas I wojny światowej,
• uzgodnień lub zgłoszeń związanych z tego rodzaju działaniami.
Z posiadanych informacji wynika, że dokumentacja dotycząca tego rodzaju obiektów o charakterze wojennym i historycznym może znajdować się w zasobach administracyjnych Oddziału ds. Obywatelstwa i Egzekucji Administracyjnych Wydziału Spraw Obywatelskich i Cudzoziemców w Pomorskiego Urzędu Wojewódzkiego w Gdańsku.

Z posiadanych zasobów przekazujemy skany dokumentów dot.:
• prac renowacyjnych mogił Żołnierzy Armii Radzieckiej w 2010 r.
• prac renowacyjnych polegających na odtworzeniu ogrodzenia w/w cmentarza w 2013 r.
Możliwe że się zmobilizuję i zapytam Urząd Wojewódzki, choć powyższe podcięło mi skrzydła.

Jestem w posiadaniu jeszcze kilku dokumentów, które otrzymałem z miasta Starogard, ale nic nie wnoszą, mogę przesłać prywatną wiadomością.

W załącznikach trochę cenzury zapodał urząd a i ja trochę cenzury dodałem od siebie.
Załączniki
Odpowiedź na wniosek o udostępnienie informacji publicznej
Odpowiedź na wniosek o udostępnienie informacji publicznej
Umowa z 2013 roku
Umowa z 2013 roku
Umowa z 2013 roku
Umowa z 2013 roku
Umowa z 2010 roku
Umowa z 2010 roku
Umowa z 2010 roku
Umowa z 2010 roku
Za ten post autor spaff otrzymał podziękowanie:
Krzyszwars (28 sty 2026, o 21:20)
Ocena: 12.5%

Autor Tematu
Krzyszwars
Przybysz
Przybysz
Reakcje:
Posty: 65
Rejestracja: 4 paź 2025, o 13:20
Podziękował;: 11 razy
Otrzymał podziękowań: 75 razy
Płeć:
Kontakt:

Re: Starogard Gdański – cmentarz wojskowy

#22

Post autor: Krzyszwars »

spaff pisze: 27 sty 2026, o 20:48 Chciałbym napisać "mamy to", ale nie mamy.
Urząd Miasta Starogard Gdański pisze:Z posiadanych informacji wynika, że dokumentacja dotycząca tego rodzaju obiektów o charakterze wojennym i historycznym może znajdować się w zasobach administracyjnych Oddziału ds. Obywatelstwa i Egzekucji Administracyjnych Wydziału Spraw Obywatelskich i Cudzoziemców w Pomorskiego Urzędu Wojewódzkiego w Gdańsku
@ spaff - A ja uważam, że nie jest tak źle. Masz oficjalne pismo z Urzędu Miasta i możesz się teraz na nie powoływać w wystąpieniu do Urzędu Wojewódzkiego.
Coraz bardziej nabieram przekonania, że krzyży nie ma, bo dokonano pełnej ekshumacji żołnierzy niemieckich z obu wojen światowych !
Zbadałem na podstawie dostępnych źródeł z internetu sprawę ekshumacji w Tczewie i w Starogardzie. Jest pewna reguła - szczątki żołnierzy z II w.ś. wywożono do Starego Czarnowa, a tych z I w.ś. na cmentarz w m. Bartosze. Jeżeli chodzi o Tczew, to jest to zrozumiałe – groby wojenne zostały splantowane (utworzono tu park), nie były przewidziane do odtworzenia, więc ekshumowano wszystkich. Nie rozumiem sytuacji w Starogardzie ! Przecież tu nie zmniejszono powierzchni cmentarza. Ogrodzenie stoi w tym samym miejscu, co w 2012 ! Po co było ekshumować pierwszowojenne pochówki, które tylko w takich okolicznościach, jak w Tczewie są przenoszone ?
Ekshumacje prowadzono także w bezpośrednim sąsiedztwie kwatery polskiej. Grób Armatowskiego znajdował się na planie (Karta Cmentarza) zaraz obok wejścia od strony stacji benzynowej.
Za ten post autor Krzyszwars otrzymał podziękowanie:
spaff (29 sty 2026, o 12:07)
Ocena: 12.5%
Awatar użytkownika

spaff
Obywatel
Obywatel
Reakcje:
Posty: 706
Rejestracja: 26 cze 2016, o 09:52
Podziękował;: 284 razy
Otrzymał podziękowań: 242 razy
Kontakt:

Re: Starogard Gdański – cmentarz wojskowy

#23

Post autor: spaff »

Porównałem sobie archiwalne zdjęcia satelitarne z Geoportalu. Wydaje się mi że betonowe krzyże widać na zdjęciu z 2012 roku a nie widać ich na zdjęciu z 2018 roku (trzeba przejść na imgur.com i tam otworzyć obraz by wyświetlić w oryginalnym rozmiarze, ponieważ na forum jest przeskalowane w zmniejszenie). Zdjęcia wykonane pomiędzy 2012 a 2018 są nieczytelne na Geoportalu, ponieważ drzewa liściaste przysłaniają cały cmentarz.

Zdjęcie z Geoportalu z roku 2012:

Obrazek

Powiększenie z zaznaczonymi kilkunastoma krzyżami:

Obrazek

Zdjęcie z Geoportalu z roku 2018:

Obrazek
Załączniki
Cmentarz wojskowy, Geoportal, maj 2012
Cmentarz wojskowy, Geoportal, maj 2012
Cmentarz wojskowy, Geoportal, maj 2012, powiększenie
Cmentarz wojskowy, Geoportal, maj 2012, powiększenie
Cmentarz wojskowy, Geoportal, maj 2018
Cmentarz wojskowy, Geoportal, maj 2018
Za ten post autor spaff otrzymał podziękowanie:
Wałasz (30 sty 2026, o 09:55)
Ocena: 12.5%

Autor Tematu
Krzyszwars
Przybysz
Przybysz
Reakcje:
Posty: 65
Rejestracja: 4 paź 2025, o 13:20
Podziękował;: 11 razy
Otrzymał podziękowań: 75 razy
Płeć:
Kontakt:

Re: Starogard Gdański – cmentarz wojskowy

#24

Post autor: Krzyszwars »

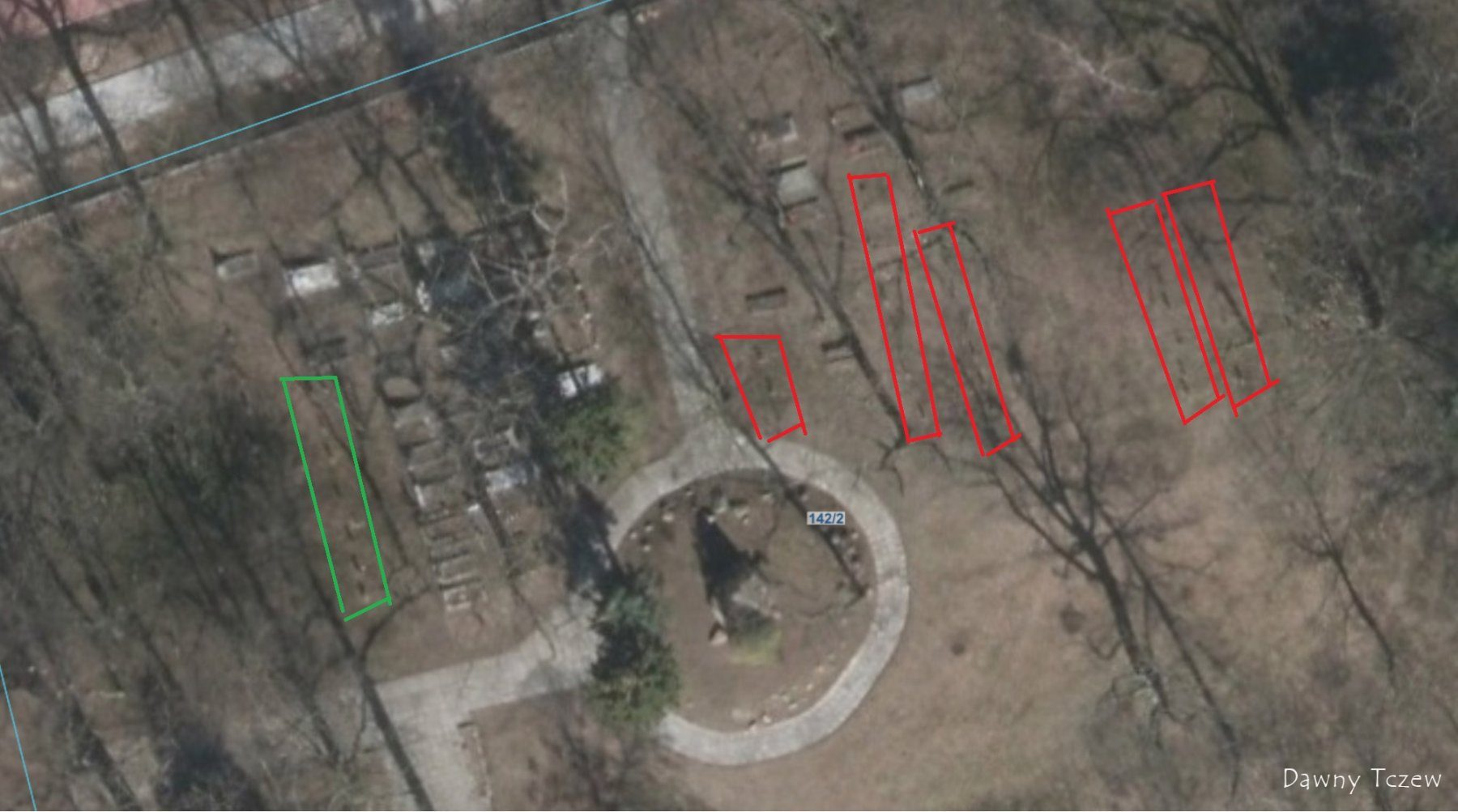
@ spaff – wydaje mi się, że na zdjęciu z 2012 – na lewo od pola zakreślonego zielonymi liniami też są krzyże. Może nawet dwa rzędy.
Plan cmentarza umieszczony w Karcie Cmentarza.
plan.cm.Star.Gd.jpg
Z opisu wynika, że zinwentaryzowano 64 obiekty (krzyże, nagrobki i pomnik). Zapewne tylko te, gdzie były czytelne napisy. Wykonano także 12 fotografii ogólnego widoku cmentarza, z których do Karty załączono tylko 4. Są tam także fotografie grobu Armatowskiego i krzyża nr 29.
https://zabytek.pl/pl/obiekty/cmentarz- ... N.115885/4
Armatowskiego (nr inw. 43) zaznaczyłem czerwonym kwadratem, a grób 29 (nr inw. 46) niebieskim. Betonowego krzyża z numerem 29 nie znalazłem wśród tych, które ocalały. Miejmy nadzieję, że w 2012 nie wydobyto szczątków naszych wojaków z 1920 r. i nie spoczywają teraz w Bartoszach lub Starym Czarnowie jako nieznani niemieccy żołnierze ... Chciałbym się mylić, ale nie wygląda to dobrze.
Za ten post autor Krzyszwars otrzymał podziękowania (total 2):
Wałasz (30 sty 2026, o 09:56) • spaff (30 sty 2026, o 17:34)
Ocena: 25%
Awatar użytkownika

spaff
Obywatel
Obywatel
Reakcje:
Posty: 706
Rejestracja: 26 cze 2016, o 09:52
Podziękował;: 284 razy
Otrzymał podziękowań: 242 razy
Kontakt:

Re: Starogard Gdański – cmentarz wojskowy

#25

Post autor: spaff »

Wiązane były z załączonym pismem wielkie nadzieje, a dalej stoimy w tym samym miejscu. Niesamowita sprawa, że sprawa dotyczy naj-najnowszej historii i nie idzie ustalić nic faktycznego.
Pomorski Urząd Wojewódzki w Gdańsku pisze:W odpowiedzi na wniosek z dnia 28 stycznia 2026 r. o udostępnienie informacji publicznej dotyczącej cmentarza wojskowego z okresu I wojny światowej, zlokalizowanego przy ul. Tczewskiej w Starogardzie Gdańskim, uprzejmie informuję, że po przeprowadzeniu kwerendy w zasobach archiwalnych oraz rejestrach pozostających w dyspozycji Pomorskiego Urzędu Wojewódzkiego w Gdańsku nie odnaleziono dokumentacji ani informacji dotyczących demontażu, usunięcia lub likwidacji betonowych krzyży nagrobnych z mogił żołnierzy I wojny światowej na wskazanym cmentarzu, w tym w szczególności daty lub okresu przeprowadzenia takich działań oraz podmiotu odpowiedzialnego za realizację prac. Nie posiadamy również żadnych zgłoszeń, uzgodnień, decyzji administracyjnych ani korespondencji dotyczących ingerencji w układ mogił lub elementy nagrobne na przedmiotowym terenie.
Jednocześnie informuję, iż cmentarz wojskowy z okresu I wojny światowej zlokalizowany przy ul. Tczewskiej w Starogardzie Gdańskim nie jest wpisany do Wojewódzkiej ewidencji grobów i cmentarzy wojennych, prowadzonej przez Wojewodę Pomorskiego na podstawie przepisów ustawy z dnia 28 marca 1933 r. o grobach i cmentarzach wojennych.
Załączniki
Pismo Wojewody Pomorskiego
Pismo Wojewody Pomorskiego
Za ten post autor spaff otrzymał podziękowanie:
Krzyszwars (3 mar 2026, o 22:31)
Ocena: 12.5%
Awatar użytkownika

spaff
Obywatel
Obywatel
Reakcje:
Posty: 706
Rejestracja: 26 cze 2016, o 09:52
Podziękował;: 284 razy
Otrzymał podziękowań: 242 razy
Kontakt:

Re: Starogard Gdański – cmentarz wojskowy

#26

Post autor: spaff »

A zainwestowałem w dwudziestopierwszowieczne zdjęcia lotnicze i to są chyba te same co na Geoportalu xD

Niestety poniższe zdjęcia lotnicze z 2018 roku i 2012 roku pokrywają się rocznikowo z wyżej wspomnianymi zdjęciami z Geoportalu i niewiele wnoszą:

2018:

Obrazek

2018 - szczegół:

Obrazek

2012:

Obrazek

2012 - szczegół:

Obrazek

Jeśli potrzeba - posiadam oryginalne zdjęcia.
Załączniki
2018
2018
2018 - szczegół
2018 - szczegół
2012
2012
2012 - szczegół
2012 - szczegół
Za ten post autor spaff otrzymał podziękowanie:
Wałasz (4 mar 2026, o 09:59)
Ocena: 12.5%

Autor Tematu
Krzyszwars
Przybysz
Przybysz
Reakcje:
Posty: 65
Rejestracja: 4 paź 2025, o 13:20
Podziękował;: 11 razy
Otrzymał podziękowań: 75 razy
Płeć:
Kontakt:

Re: Starogard Gdański – cmentarz wojskowy

#27

Post autor: Krzyszwars »

spaff pisze: 3 mar 2026, o 16:42 Wiązane były z załączonym pismem wielkie nadzieje, a dalej stoimy w tym samym miejscu. Niesamowita sprawa, że sprawa dotyczy naj-najnowszej historii i nie idzie ustalić nic faktycznego.
Rzeczywiście zadziwiające – nikt nic nie widział, nikt nic nie wie ... :facepalm Ale trzeba przyznać, że odpowiedzieli bardzo szybko ! W niektórych urzędach, to nawet nie raczą odpowiadać na pisma od obywateli ...
Pomorski Urząd Wojewódzki w Gdańsku pisze:(...)Jednocześnie informuję, iż cmentarz wojskowy z okresu I wojny światowej zlokalizowany przy ul. Tczewskiej w Starogardzie Gdańskim nie jest wpisany do Wojewódzkiej ewidencji grobów i cmentarzy wojennych, prowadzonej przez Wojewodę Pomorskiego na podstawie przepisów ustawy z dnia 28 marca 1933 r. o grobach i cmentarzach wojennych.
:evil2 Jak się czyta coś takiego, to ręce opadają
USTAWA z dnia 28 marca 1933 r. o grobach i cmentarzach wojennych
https://isap.sejm.gov.pl/isap.nsf/downl ... 0681Lj.pdf
Art 1. 1. Grobami wojennymi w rozumieniu ustawy są groby i miejsca spoczynku:
1 . poległych w walkach o niepodległość i zjednoczenie Państwa Polskiego;
- to o tych kilkunastu naszych żołnierzach z 1920 r.
2. osób wojskowych, poległych lub zmarłych z powodu działań wojennych, bez względu na narodowość; - to o tych 200 żołnierzach armii niemieckiej z 1914-1918
Nie było czasu na wpis do ewidencji ? A ile lat minęło od zakończenia I w.ś. i II w.ś. ?
Kilka lat temu NIK przeprowadzał kontrolę w czterech południowych województwach :
https://www.nik.gov.pl/plik/id,21173,vp,23805.pdf
Ciekawe są wnioski pokontrolne - szczególnie te dotyczace złej ewidencji ...
Na palcach jednej ręki można policzyć te województwa, które umieściły ewidencję w Internecie ...
Na stronie NID jest Karta Cmentarza – Starogard Gd. – Cmentarz wojskowy – 15958 Z.
https://zabytek.pl/pl/obiekty/cmentarz- ... N.115885/1
Wynika z tego, że w 1983 ten cmentarz musiał być uznany za zabytek nieruchomy. Czy jest tak nadal ?
Ciekawe, jakie zdanie o tym wszystkim, co działo się na cmentarzu w Starogardzie Gd., ma Pomorski Wojewódzki Konserwator Zabytków ? Też nic nie słyszał i nic nie wie ? :szok2
https://ochronazabytkow.gda.pl/konserwator-zabytkow/
Za ten post autor Krzyszwars otrzymał podziękowanie:
spaff (4 mar 2026, o 21:50)
Ocena: 12.5%

Autor Tematu
Krzyszwars
Przybysz
Przybysz
Reakcje:
Posty: 65
Rejestracja: 4 paź 2025, o 13:20
Podziękował;: 11 razy
Otrzymał podziękowań: 75 razy
Płeć:
Kontakt:

Re: Starogard Gdański – cmentarz wojskowy

#28

Post autor: Krzyszwars »

W Wojewódzkiej Ewidencji Zabytków znalazłem plik Starogard Gdański miasto
288 pozycji, ale cmentarz wojskowy tam nie figuruje .... 110-letniego pomnika żołnierzy niemieckich też tam nie ma – czyli w zasadzie nie podlega ochronie ?
https://view.officeapps.live.com/op/vie ... BROWSELINK
Figurują cztery inne cmentarze – katolicki (ul. II Pułku Szwoleżerów), żydowski (ul. Bohaterów Getta), ewangelicki (ul. Owidzka) i szpitalny (ul. Skarszewska).
Awatar użytkownika

spaff
Obywatel
Obywatel
Reakcje:
Posty: 706
Rejestracja: 26 cze 2016, o 09:52
Podziękował;: 284 razy
Otrzymał podziękowań: 242 razy
Kontakt:

Re: Starogard Gdański – cmentarz wojskowy

#29

Post autor: spaff »

Nic to nie wniesie, ale być może gdzieś żyją osoby, które odpowiadają za wiązankę ze zdjęcia z 2007 roku i wiedzą coś więcej.
Załączniki
Wiązanka, 2007
Wiązanka, 2007
Awatar użytkownika

spaff
Obywatel
Obywatel
Reakcje:
Posty: 706
Rejestracja: 26 cze 2016, o 09:52
Podziękował;: 284 razy
Otrzymał podziękowań: 242 razy
Kontakt:

Re: Starogard Gdański – cmentarz wojskowy

#30

Post autor: spaff »

A teraz spróbuję coś wnieść do tematu. Poniżej dzięki usłudze Google Streetview kilka zdjęć "pamiątkowych" w mojej ocenie z likwidacji nagrobków/krzyży. Zdjęcia z imgur.com należy otwierać w oddzielnych kartach przeglądarki by zobaczyć szczegóły graficzne w oryginalnym rozmiarze.


Zdjęcie: Starogard Gdański, Tczewska, cmentarz wojenny, brak masy krzyży (jakieś są i istnieją po dziś dzień), Google Streetview, sierpień 2013:

Obrazek

Google Streetview.


Zdjęcie: Starogard Gdański, Tczewska, cmentarz wojenny, w centrum krzyże istnieją, Google Streetview, sierpień 2012, po prawej stronie samochód z naczepą do przewozu np. koparki:

Obrazek

Google Streetview.


Zdjęcie: Starogard Gdański, Unii Europejskiej, cmentarz wojenny, koparka, Google Streetview, sierpień 2012, niekompletne ogrodzenie, ale umowa na naprawę ogrodzenia będzie podpisana w 2013 roku:

Obrazek

Google Streetview.


Zdjęcie: Starogard Gdański, Unii Europejskiej, cmentarz wojenny, krzyże, widoczne urobki ziemi, jakieś turkusowe urządzenie/pojazd, Google Streetview, sierpień 2012:

Obrazek

Google Streetview.


Zdjęcie: Starogard Gdański, Unii Europejskiej, cmentarz wojenny, krzyże, widoczne urobki ziemi, jakieś turkusowe urządzenie/pojazd, Google Streetview, sierpień 2012, przybliżenie:

Obrazek

Google Streetview.


Zdjęcie: Starogard Gdański, Unii Europejskiej, cmentarz wojenny, brak krzyży, widoczne liście jesienne na rozplantowanej ziemi, Google Streetview, wrzesień 2012, przybliżenie:

Obrazek

Google Streetview.
Załączniki
Starogard Gdański, Tczewska, cmentarz wojenny, brak masy krzyży (jakieś są i istnieją po dziś dzień), Google Streetview, sierpień 2013
Starogard Gdański, Tczewska, cmentarz wojenny, brak masy krzyży (jakieś są i istnieją po dziś dzień), Google Streetview, sierpień 2013
Starogard Gdański, Tczewska, cmentarz wojenny, w centrum krzyże istnieją, Google Streetview, sierpień 2012, po prawej stronie samochód z naczepą do przewozu np. koparki
Starogard Gdański, Tczewska, cmentarz wojenny, w centrum krzyże istnieją, Google Streetview, sierpień 2012, po prawej stronie samochód z naczepą do przewozu np. koparki
Starogard Gdański, Unii Europejskiej, cmentarz wojenny, koparka, Google Streetview, sierpień 2012, niekompletne ogrodzenie, ale umowa na naprawę ogrodzenia będzie podpisana w 2013 roku
Starogard Gdański, Unii Europejskiej, cmentarz wojenny, koparka, Google Streetview, sierpień 2012, niekompletne ogrodzenie, ale umowa na naprawę ogrodzenia będzie podpisana w 2013 roku
Starogard Gdański, Unii Europejskiej, cmentarz wojenny, krzyże, widoczne urobki ziemi, jakieś turkusowe urządzenie/pojazd, Google Streetview, sierpień 2012
Starogard Gdański, Unii Europejskiej, cmentarz wojenny, krzyże, widoczne urobki ziemi, jakieś turkusowe urządzenie/pojazd, Google Streetview, sierpień 2012
Starogard Gdański, Unii Europejskiej, cmentarz wojenny, krzyże, widoczne urobki ziemi, jakieś turkusowe urządzenie/pojazd, Google Streetview, sierpień 2012, przybliżenie
Starogard Gdański, Unii Europejskiej, cmentarz wojenny, krzyże, widoczne urobki ziemi, jakieś turkusowe urządzenie/pojazd, Google Streetview, sierpień 2012, przybliżenie
Starogard Gdański, Unii Europejskiej, cmentarz wojenny, brak krzyży, widoczne liście jesienne na rozplantowanej ziemi, Google Streetview, wrzesień 2012, przybliżenie
Starogard Gdański, Unii Europejskiej, cmentarz wojenny, brak krzyży, widoczne liście jesienne na rozplantowanej ziemi, Google Streetview, wrzesień 2012, przybliżenie
ODPOWIEDZ